유료터점주조황

· 업주전용게시판으로서 업로드 횟수는 1일 1건으로 제한합니다
· 회원가입후 곧바로 조황을 올릴 수 있으나 별명은 반드시 유료터명의로 올리시기 바랍니다
· 유료터명의가 아니거나 썸네일이 없으면 삭제됩니다.

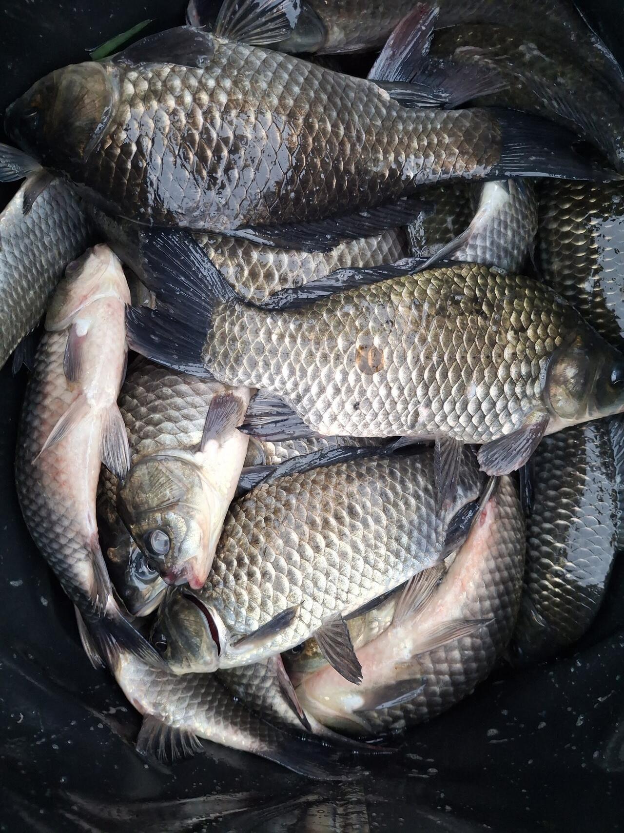
아산 안골지 입니다.

IP : ddf8e928efc80b2 날짜 : 조회 : 17073 본문+댓글추천 : 0

요즈음은 비가 와도 너무 오네요
만수위로 조황도 좋은 편입니다.
날씨도 낚시하기 좋은 계절입니다.
손맛, 찌맛, 보셔야죠
아침 저녁으로는 쌀쌀하니 두터운 옷이 준비 되셔야 하겠습니다.

낚시터 주소 및  예약전화번호

주소 : 충청남도 아산시 영인면 고룡산로 448

예약 전화번호 : 010-5427-2369

 

아산 안골지 입니다 (유료터정보 - 유료터점주조황)
아산 안골지 입니다 (유료터정보 - 유료터점주조황)
아산 안골지 입니다 (유료터정보 - 유료터점주조황)
아산 안골지 입니다 (유료터정보 - 유료터점주조황)
아산 안골지 입니다 (유료터정보 - 유료터점주조황)
아산 안골지 입니다 (유료터정보 - 유료터점주조황)
아산 안골지 입니다 (유료터정보 - 유료터점주조황)
아산 안골지 입니다 (유료터정보 - 유료터점주조황)
아산 안골지 입니다 (유료터정보 - 유료터점주조황)
아산 안골지 입니다 (유료터정보 - 유료터점주조황)
아산 안골지 입니다 (유료터정보 - 유료터점주조황)
아산 안골지 입니다 (유료터정보 - 유료터점주조황)
아산 안골지 입니다 (유료터정보 - 유료터점주조황)
아산 안골지 입니다 (유료터정보 - 유료터점주조황)
아산 안골지 입니다 (유료터정보 - 유료터점주조황)
아산 안골지 입니다 (유료터정보 - 유료터점주조황)
아산 안골지 입니다 (유료터정보 - 유료터점주조황)
아산 안골지 입니다 (유료터정보 - 유료터점주조황)
아산 안골지 입니다 (유료터정보 - 유료터점주조황)
아산 안골지 입니다 (유료터정보 - 유료터점주조황)
아산 안골지 입니다 (유료터정보 - 유료터점주조황)
아산 안골지 입니다 (유료터정보 - 유료터점주조황)
아산 안골지 입니다 (유료터정보 - 유료터점주조황)
아산 안골지 입니다 (유료터정보 - 유료터점주조황)
아산 안골지 입니다 (유료터정보 - 유료터점주조황)
아산 안골지 입니다 (유료터정보 - 유료터점주조황)
아산 안골지 입니다 (유료터정보 - 유료터점주조황)
아산 안골지 입니다 (유료터정보 - 유료터점주조황)
아산 안골지 입니다 (유료터정보 - 유료터점주조황)
아산 안골지 입니다 (유료터정보 - 유료터점주조황)
아산 안골지 입니다 (유료터정보 - 유료터점주조황)

 

아산안골낚시님의 최근 조황

조황 더보기