유료터점주조황

· 업주전용게시판으로서 업로드 횟수는 1일 1건으로 제한합니다
· 회원가입후 곧바로 조황을 올릴 수 있으나 별명은 반드시 유료터명의로 올리시기 바랍니다
· 유료터명의가 아니거나 썸네일이 없으면 삭제됩니다.

아산 산들낚시터 9월25일 조황정보

IP : 81680418113056b 날짜 : 조회 : 13058 본문+댓글추천 : 0


20170914193420_naks2_1756944286.jpg 

 

 

            

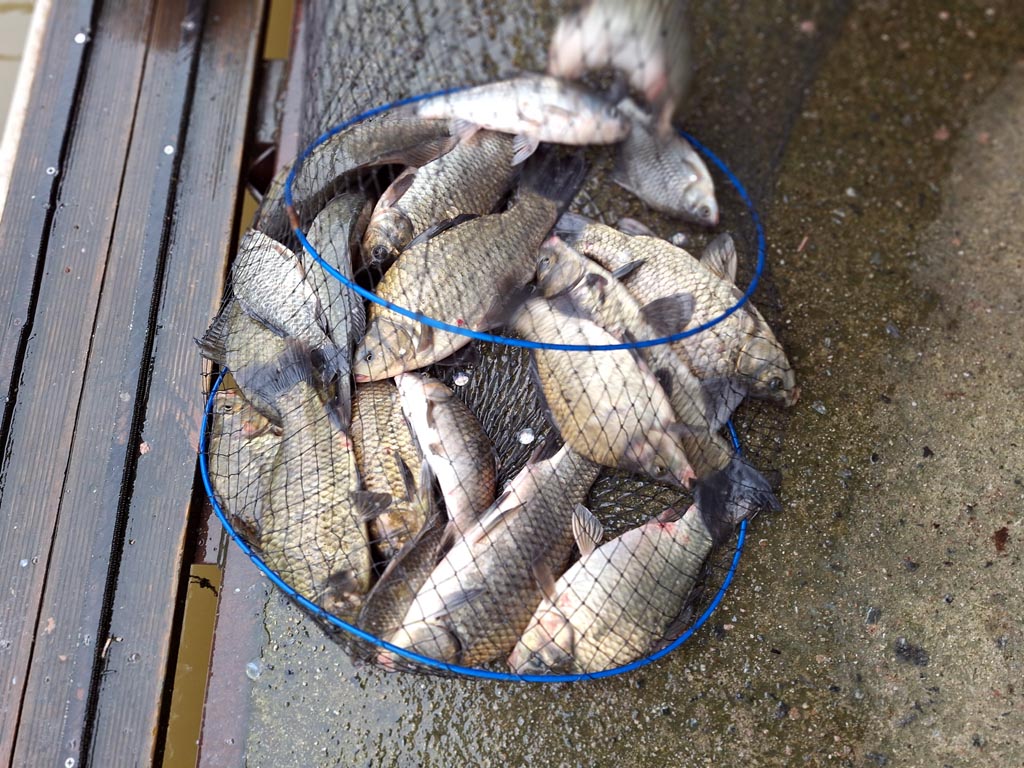
 그곳에 가고 싶다~ 아산의 대표 힐링터

           

산들 낚시터

 

 

  어제 오후부터 간헐적으로 비가 내리더니 밤늦은시간 계속되었습니다

다행이 바람없이 비에양도 점점줄어 낚시하기에는 전혀 문제가 되지 않아 분위기를

즐기시는분들한테는 운치있는 낚시였네요

현재 산들낚시터는 약  84프로 정도의 수위에

각 포인트 마다 안정적은 수심대로 고른 조황을 보여주고 있습니다

기본적으로 어분베이스 떡밥에 물색이 탁할때는 지렁이 짝밥도 괜찮은 조황을 보이네요

잡어의 성화가 거의 없으니 다양한 미끼배합으로 패턴을 달리하는것이 조과에 도움이 되지 않을까 합니다

깊어가는 가을피크시즌 즐기시기 바랍니다

 

 

KakaoTalk_20250925_072123144.jpg

 

 

아산 산들낚시터 9월25일 조황정보 (유료터정보 - 유료터점주조황)

 

 

 

KakaoTalk_20250925_072123144_05.jpg

 

 

KakaoTalk_20250925_072127213.jpg

 

 

KakaoTalk_20250925_072127213_01.jpg

 

 

KakaoTalk_20250925_072123144_27.jpg

 

 

KakaoTalk_20250925_072123144_28.jpg

 

 

KakaoTalk_20250925_072123144_24.jpg

 

 

KakaoTalk_20250925_072123144_23.jpg

 

 

KakaoTalk_20250925_072123144_21.jpg

 

 

KakaoTalk_20250925_072123144_19.jpg

 

 

KakaoTalk_20250925_072123144_20.jpg

 

 

KakaoTalk_20250925_073223956.jpg

 

 

KakaoTalk_20250925_072123144_18.jpg

 

 

KakaoTalk_20250925_072123144_16.jpg

 

 

KakaoTalk_20250923_131036447.jpg

 

 

KakaoTalk_20250925_072123144_03.jpg

 

 

KakaoTalk_20250925_072123144_02.jpg

 

 

 

 

 

 


 

 

 

 

<낚시터정보>

 

 ● 위 치 : 충남 아산시 배방면 수철리 270-1 (네비게이션:산들낚시터)
● 전 화 : 010-9060-4121 / 041-532 -6980
● 교 통 : 대중교통
● 면 적 : 2만 5천 여 평
● 수 질 : 자연계곡수
● 어 종 : 떡붕어, 토종붕어, 향붕어, 잉어,향어,메기
● 수 심 : 1
~4m

● 미 끼 : 떡밥,지렁이 ,생미끼

 


● 수상좌대이용요금

 

  중형좌대(2인기준) : 주중   8만원 / 주말  10만원

       대형좌대(3인기준) : 주중  11만원 / 주말  13만원
       특대좌대(5인기준) : 주중 17만원 / 주말  20만원
       연안(연륙)좌대(2인기준): 주중  8만원 / 주말 10만원

     * 금, 토와 공휴일 전일은 주말요금이 적용됩니다.

      * 1인 추가 이용시 : 25,000원 별도

 

 
      
 
● 노지 및 잔교 이용요금 : 25,000원(손맛, 잡이 구분 없음)
 
   
 

 


● 부대시설 : 매점, 화장실, 주차시설 
● 영업시간 : 24시간

 

sandul_co_kr_20160809_163313.jpg

 

 

 

20170914173104_ikzf_1756944405.jpg

up2_1758063009.jpg

 

산들낚시터님의 최근 조황

조황 더보기