· 업주전용게시판으로서 업로드 횟수는 1일 1건으로 제한합니다
· 회원가입후 곧바로 조황을 올릴 수 있으나 별명은 반드시 유료터명의로 올리시기 바랍니다
· 유료터명의가 아니거나 썸네일이 없으면 삭제됩니다.
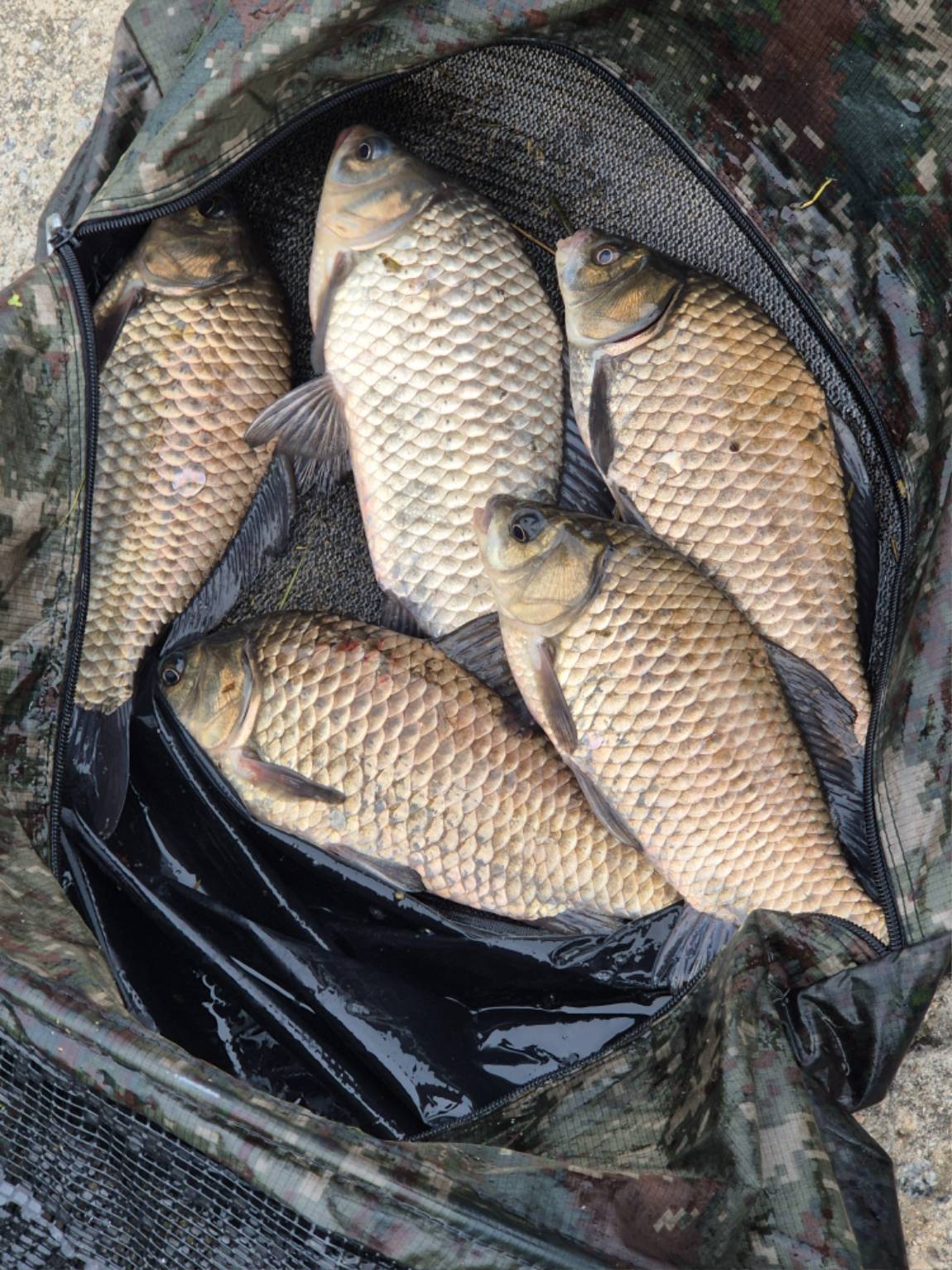
대물 풍성한어망 10월5일 조황정보 성호낚시터.
성호낚시터 IP : 9368975dd038abb 날짜 : 조회 : 14539 본문+댓글추천 : 0

대물로 풍성한 어망
좌대에서 대물만 덩어리 대박 마릿수어망
축하합니다.
좋아요 구독 누르시면
다음 동영상도 바로 바로 볼수있으며,
앞으로 즐거운 시간 되십니다.

연휴동안
시설좋은 최고급형 방갈로좌대
초~저렴하게 평일 할인요금으로 누구나 이용 가능합니다.







토종터에서 매일 수십장씩
대물 덩어리 인증샷을 볼수있는 행운은
이천 성호낚시터 뿐입니다.
다들 축하드립니다.









오늘도 주인공
동영상 쇼츠영상 올라 갑니다.
좋아요 구독하여
성호낚시터 대물들 매일 구경 하세요.














-
2025-11-01
-
2025-10-31
-
2025-10-30
-
2025-10-29
-
2025-10-28
-
2025-10-27
조황 더보기