유료터점주조황

· 업주전용게시판으로서 업로드 횟수는 1일 1건으로 제한합니다
· 회원가입후 곧바로 조황을 올릴 수 있으나 별명은 반드시 유료터명의로 올리시기 바랍니다
· 유료터명의가 아니거나 썸네일이 없으면 삭제됩니다.

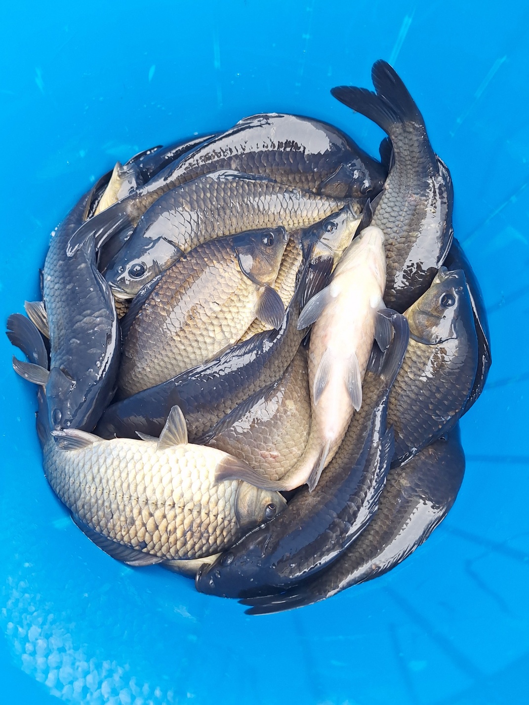
2025년 6월 6일 산들낚시터 조황 및 방류정보

IP : 81680418113056b 날짜 : 조회 : 16062 본문+댓글추천 : 0

 

 

산들-3.jpg

 

 

 

            

 

 

그곳에 가고 싶다~ 아산의 대표 힐링터

           

산들 낚시터

 

 

 

  황금연휴 첫날이 맞이하여 많은 조사님들이 찾아주셨습니다.

 

조황편차가 어느정도는 있지만 나름대로 좋은 조과를 보여줬습니다.

 

금일 대량의 어자원 조성으로 연휴내나 많은분들이 손맛보셨으면 합니다.

 

입질시간대는 오후늦게부터 자정전, 아침부터 입질이 집중되니  

 

밤에는 한숨 주무시고 컨디션관리하셔서 철수시까지 열심히 하시면 좋은 조과 이룰수 있을듯 합니다.

 

입질이 예민한 관계로 가벼운 찌맞춤을 하시는게 유리합니다.

 

피래미 성화가 별로 없으니 어분보리계열으로 꾸준히 집어하시고 밤에는 글루텐 짝밥으로 하시면 입질보시기 더 수월할것 같습니다.

 

 

KakaoTalk_20250606_083115643_14.jpg

 

 

KakaoTalk_20250606_083118120_08.jpg

 

 

KakaoTalk_20250606_083118120_02.jpg

 

 

KakaoTalk_20250606_083115643_25.jpg

 

 

KakaoTalk_20250606_083115643_13.jpg

 

 

KakaoTalk_20250606_083115643_15.jpg

 

 

KakaoTalk_20250606_083115643_18.jpg

 

 

KakaoTalk_20250606_083115643_20.jpg

 

 

KakaoTalk_20250606_083115643_23.jpg

 

 

KakaoTalk_20250606_083115643_24.jpg

 

 

KakaoTalk_20250606_083118120_01.jpg

 

 

2025년 6월 6일 산들낚시터 조황 및 방류정보 (유료터정보 - 유료터점주조황)

 

 

KakaoTalk_20250606_083118120_06.jpg

 

 

KakaoTalk_20250606_083115643_06.jpg

 

 

KakaoTalk_20250606_083115643_10.jpg

 

 

KakaoTalk_20250606_083115643_03.jpg

 

 

KakaoTalk_20250606_083115643_02.jpg

 

 

KakaoTalk_20250606_083115643_09.jpg

 

 

 


 

 

 

 

<낚시터정보>

 

 ● 위 치 : 충남 아산시 배방면 수철리 270-1 (네비게이션:산들낚시터)
● 전 화 : 010-9060-4121 / 041-532 -6980
● 교 통 : 대중교통
● 면 적 : 2만 5천 여 평
● 수 질 : 자연계곡수
● 어 종 : 떡붕어, 토종붕어, 수입붕어, 잉어,향어,메기
● 수 심 : 1.5~4m
● 미 끼 : 떡밥,지렁이 ,생미끼

 


● 수상좌대이용요금

 

  중형좌대(3인) : 주중 1인 부터  8만원 / 주말 2인 부터 10만원

       대형좌대(4인) : 주중 2인 부터 11만원 / 주말 3인 부터 13만원
       특대좌대(6인) : 주중 3인 부터 17만원 / 주말 5인 부터 20만원

       연안(연륙)좌대: 주중 1인 부터 8만원 / 주말 2인 부터 10만원

     * 금, 토와 공휴일 전일은 주말요금이 적용됩니다.

      *7월 15일~ 8월 15일 여름 성수기는 주말요금이 적용됩니다. 

     * 1인 추가 이용시 : 25,000원 별도

 

 
      
 
● 노지 및 잔교 이용요금 : 25,000원(손맛, 잡이 구분 없음)
 
   
 

 


● 부대시설 : 매점, 화장실, 주차시설 
● 영업시간 : 24시간

 

sandul_co_kr_20160809_163313.jpg

 

 

 

동교-56.jpg

 

 

산들낚시터님의 최근 조황

조황 더보기