유료터점주조황

· 업주전용게시판으로서 업로드 횟수는 1일 1건으로 제한합니다
· 회원가입후 곧바로 조황을 올릴 수 있으나 별명은 반드시 유료터명의로 올리시기 바랍니다
· 유료터명의가 아니거나 썸네일이 없으면 삭제됩니다.

가깝고 물 좋고 경치 좋은 토종붕어터~~!!-용인삼인낚시터-

IP : acd9e30fc795ed7 날짜 : 조회 : 15467 본문+댓글추천 : 0

  

 

안녕 하세요~~!! 

 

 

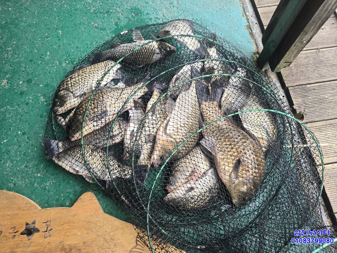
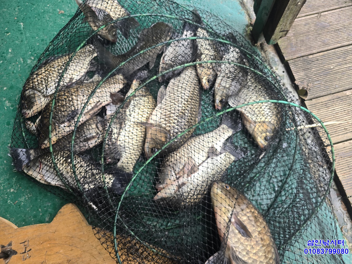
수려한 풍광, 힘 좋은 토종붕어 낚시터, 힐링의 공간  (토종붕어터) 용인 삼인낚시터입니다

 

긴 연휴기간 불편한 날씨에도 많이들 찾아주셔서 

진심으로 감사드립니다.

붕어손맛을 많이 보신분도 계시고 적게 보신 분들도 계셨는데 

모두들 즐거우셨길 바랍니다.

 

10월도 접어들어 붕어들 씨알이 정말 좋았졌습니다.

붕어상태도 깨끗하네요

수온이 내려가면서 큰놈들이 많이 움직이는것 같습니다.

유난히 낚시대가 끌려가는 경우도 많아지고요

앞으로 더 힘좋은 토종붕어 만날 일만 남은거 같습니다.

 

낚시하기 좋은 시기에 열심히 즐기시기 바랍니다.

항상건강 챙기시면서 즐겁고 행복한 하루 되세요~~!!

감사합니다,

 

 

 

삼인낚시터는 바람을 많이 타지 않고 저녁이면 대부분 바람이 

잦아들어 바람의 영향을 적게 받습니다.

또한 좌대시설 모두가 연안에서 걸어서 안전하게  이용하실수 있습니다.

바로 뒤에 주차하시고 언제든 편하게 오시고 가실수 있습니다.

 

 

서울 근교에 자리한 가까운 낚시터 입니다

산과 숲으로 둘러싸여 있어 녹조도 없어  물도 깨끗하고 풍광도 수려합니다.

조용하게 (토종붕어) 낚시도 즐기시며 산책도 하시고 자연과 함께 하실수 있습니다.

 

 

***궁금하신점 있으시면 전화로 문의 하시기 바랍니다~~!! 

 

   문의전화:031)332-6795,010-8379-9080 삼인낚시터 

 

1760316821057.jpg

 

 

1760316821113.jpg

 

 

1760316821155.jpg

 

 

1760316821206.jpg

 

 

1760316821254.jpg

 

 

1760316821297.jpg

 

 

1760316821332.jpg

 

 

1760316821412.jpg

 

 

1760316821453.jpg

 

 

1760316821492.jpg

 

 

1760316821541.jpg

 

 

1760316821623.jpg

 

 

1760316821658.jpg

 

 

1760316821695.jpg

 

 

1760316821734.jpg

 

 

1760316821797.jpg

 

 

1760316821860.jpg

 

 

1760316821900.jpg

 

 

1760316821942.jpg

 

 

1760316821991.jpg

 

 

1760316822023.jpg

 

 

1760316822061.jpg

 

 

1760316822097.jpg

 

 

1760316822143.jpg

 

 

1760316822178.jpg

 

 

1760316822220.jpg

 

 

1760316822258.jpg

 

 

1760316822326.jpg

 

 

1760316822366.jpg

가깝고 물 좋고 경치 좋은 토종붕어터용인삼인낚시터 (유료터정보 - 유료터점주조황)

 

삼인낚시터님의 최근 조황

조황 더보기

삼인낚시터 상세 보기(클릭)
소재지 경기도 용인시 처인구 남사면 북리 422-1 면 적 3만3천평
주어종 붕어,잉어,향어,메기 좌대수 1인실-20실,2인-10실,일반좌대-7동,로얄좌대-8동
허용칸수 4칸대미만 수 심 1.5~4m
부대시설 입어료 3만원
홈페이지 문 의 031-332-6795 010-8379-9080