유료터점주조황

· 업주전용게시판으로서 업로드 횟수는 1일 1건으로 제한합니다
· 회원가입후 곧바로 조황을 올릴 수 있으나 별명은 반드시 유료터명의로 올리시기 바랍니다
· 유료터명의가 아니거나 썸네일이 없으면 삭제됩니다.

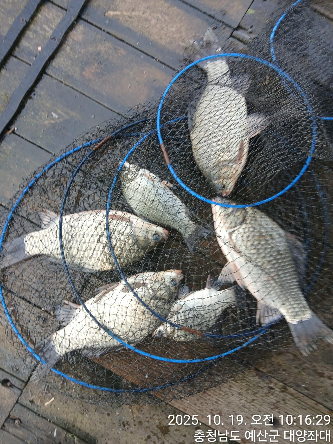
예당저수지 대양좌대 2025년 10월 19일 붕어조황

IP : 3d354f3f844fcda 날짜 : 조회 : 14768 본문+댓글추천 : 0

예당저수지 대양좌대 2025년 10월 19일 붕어조황 (유료터정보 - 유료터점주조황)
예당저수지 대양좌대 2025년 10월 19일 붕어조황 (유료터정보 - 유료터점주조황)

 

 

 

바람이 불었는데도 조금 잡으셨습니다.

입질은 해가 떨어질때부터 뜨기 전까지

약하게 드문드문 들어왔습니다.

향이 진한 글루텐이나 어분글루텐이 잘 먹힙니다.

미끼 : 일제구르텐 3번 딸기, 5번 바닐라 섞어서 콩알낚시

마늘 구르텐이나 생미끼 지렁이도 괜찮음.

좌대 예약이나 자세한 사항은 010-9554-3311 로 문의 바랍니다.

이 조황은 대양좌대내에서만 조황체크하여 올리는 것입니다.

다른 좌대들과는 다를수 있으니 참고하시기 바랍니다.

대양좌대 네비게이션 주소 : 충청남도 예산군 대흥면 동서리 203-2(예당호중앙생태공원)

도착 10분 전 전화 부탁드립니다.

대양좌대 카페 : 네이버에 ‘예당대양좌대’ 검색

인스타그램 - yedang_daeyang

#여행 #주말 #먹방 #휴가 #여행스타그램 #낚시스타그램 #낚시 #루어 #루어낚시 #낚시꾼 #민물낚시 #좌대낚시 #런커 #월척 #배스 #붕어 #가물치 #예산 #예당 #예당저수지 #예당지 #대양 #대양좌대 #fishing #bassfishig #lurefishig #followforfollowback #소통 #일상 #flf

예당지대양좌대님의 최근 조황

조황 더보기