· 업주전용게시판으로서 업로드 횟수는 1일 1건으로 제한합니다
· 회원가입후 곧바로 조황을 올릴 수 있으나 별명은 반드시 유료터명의로 올리시기 바랍니다
· 유료터명의가 아니거나 썸네일이 없으면 삭제됩니다. 
 
    
        
    
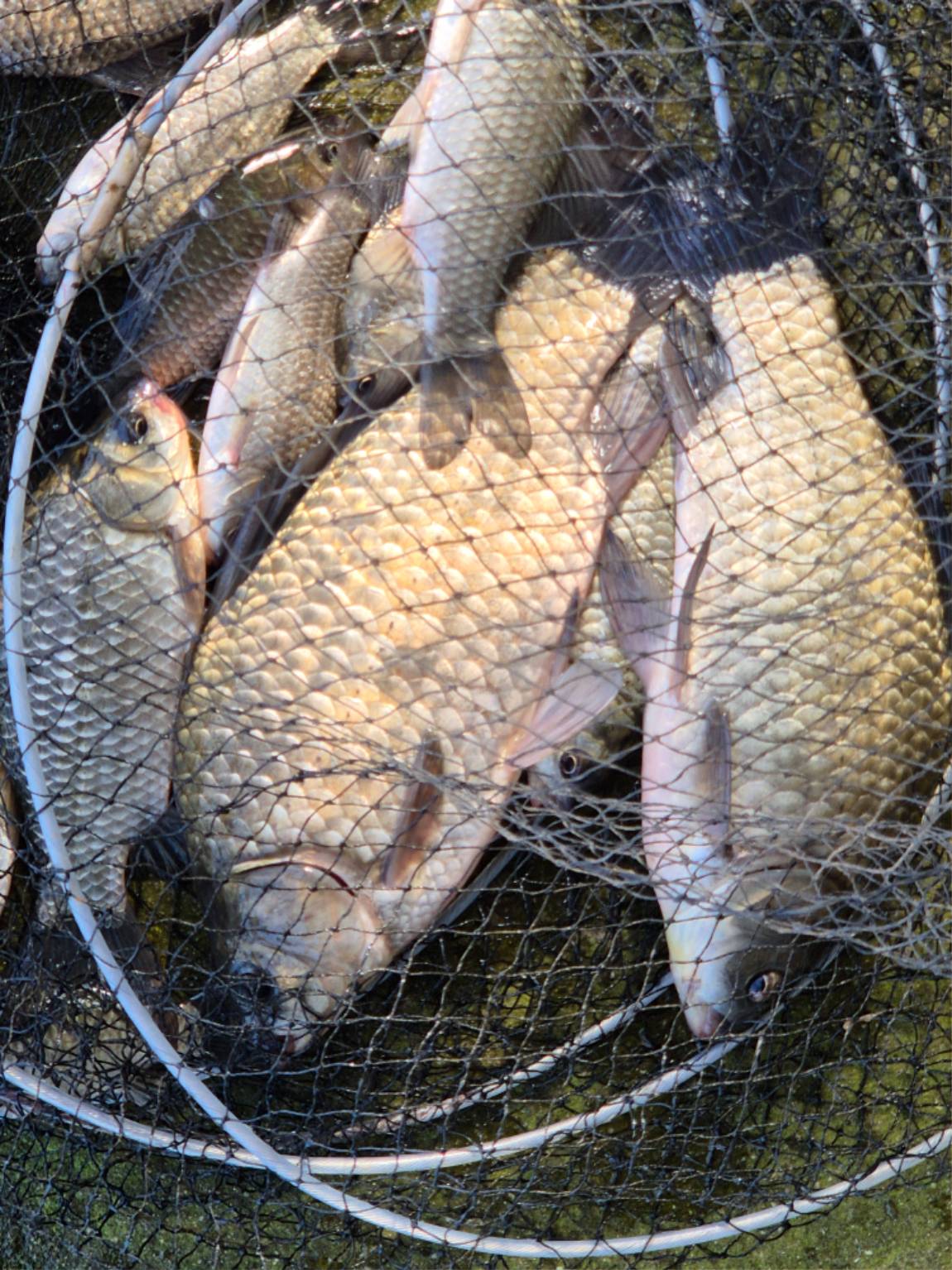
                목요일 10월23일 조황 성호낚시터.    
    
    
    
        성호낚시터 IP :  9368975dd038abb 날짜 :  조회 : 14556 본문+댓글추천 : 0     
    
                        
             

 
어종 불문 
나오는 대로 싹쓸이 조사님
대물도 5수 하셨다니
축하합니다.
 
밤 기온도 들쑥날쑥 
마릿수도 들쑥날쑥 가운데 
밑밥 및 밤낚시에 집중하신 분들은 
마릿수 하신 것 같습니다.
 
 
 

 
 

 
 

 
 

 
 

 
 

 
 

 
 

 
 

 
 

 
 

 
 

 
 

 
 

 
 
 
 
 
 
 

 
 

 
 

 
 

 
 

 
 

 
 
                
        
    
        
                            - 
                      
                        2025-10-31                     
- 
                      
                        2025-10-30                     
- 
                      
                        2025-10-29                     
- 
                      
                        2025-10-28                     
- 
                      
                        2025-10-27                     
- 
                      
                        2025-10-26                     
 
         조황 더보기