
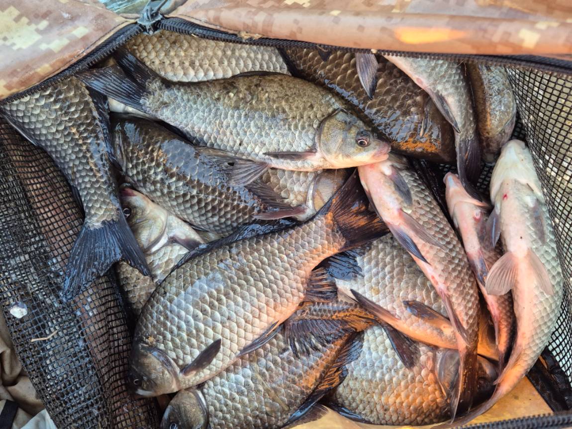
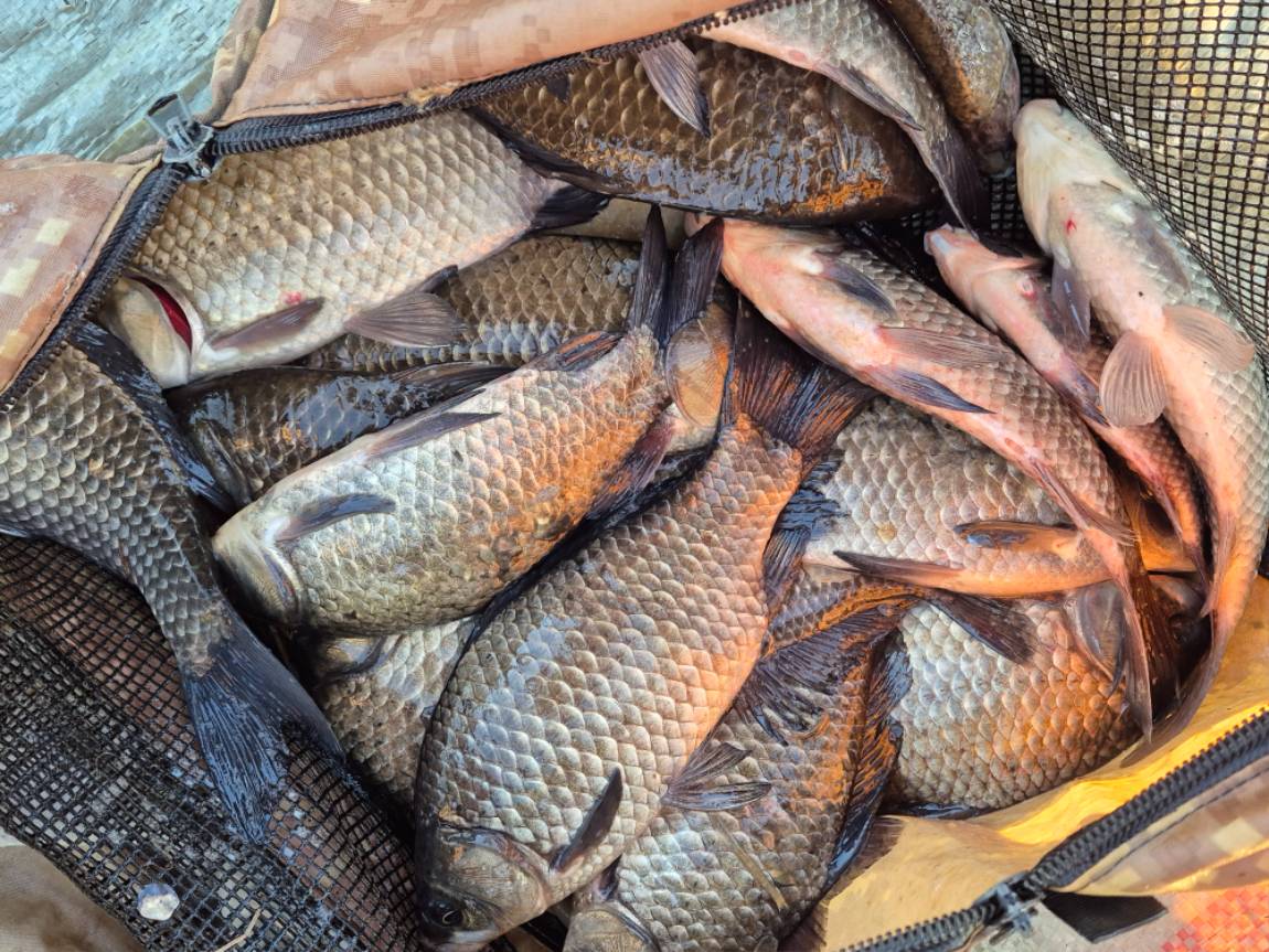
때깔 좋은
덩어리 마릿수 어망
축하합니다.
2025년 마지막
단체 소규모 납회 모임이
성호낚시터에서 이루어지고 있습니다.
마지막 납회 단체 소규모 모임은
미리 예약후 이용시 자리 확보 가능합니다.


남자분들
동영상 보고 눈물 콧물 나겠네ㅎㅎ
볼륨크게 켜고 보세요.

야인피싱클럽
지난 모임시 1등 4짜 이후.
마지막 납회도
이천 성호낚시터 물너미쪽에서
월척 덩어리 계측으로 성황리 마무리 하셨네요.

야인피싱 회장님 총무님
회원들 편의를 위해 답사와 행사준비로
고생 많았습니다.
주변 정리와 뒷정리 까지
감사합니다.











현대엘리베이터 낚시회
골자리 및 좌.우측에서 납회 모임을
매년 2회 이상 이천 성호낚시터에서 하고 계시네요.
금번 계측 등수도
월척 덩어리가 나와 주었다고 하니
축하들 합니다.

회장님 총무님 고문님들 까지
행사 준비 뒷정리 까지 고생 많았습니다.
항상 주변정리 뒷정리 까지
감사합니다.
 
 












