그곳에 가고 싶다~ 아산의 대표 힐링터
산들 낚시터
주초반을 빼고는 포근한 날씨가 계속되었고
바람도 없어 거울같은 저수지에 찌를 보기에도 더할나위없이 좋았습니다
좌대 잔교할꺼 없이 곳곳에서 대박조황을 보여준곳이 많았는데요
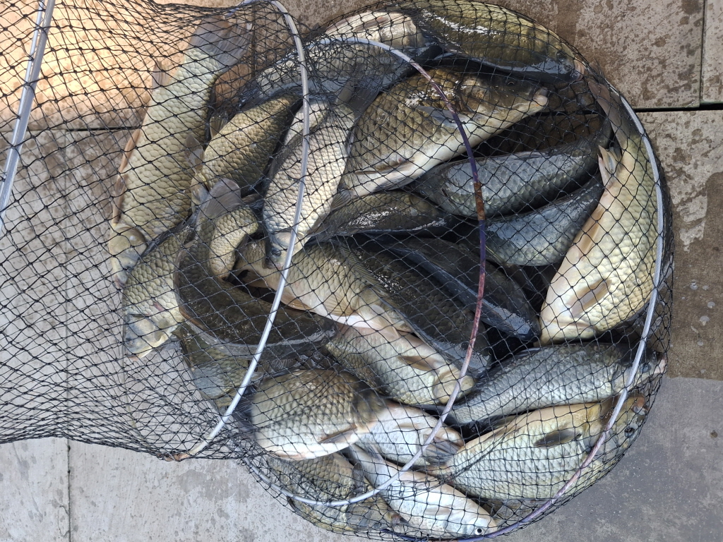
하루낚시에 84마리까지 잡은 조사님도 계셨습니다
입질시간대는 여전히 오후늦게부터 자정전까지 그리고 새벽녘에 집중되었고
낮낚시에도 간간히 손맛을 보실수 있었습니다
대박조황을 보이던곳이 다음날에는 낫마리에 그친경우도 있었으니 물속사정은
정말 알다가도 모를일입니다
주말까지 포근한 날씨가 계속된다고 하니 손맛들 보시기엔 어렵지 않을듯 합니다
![KakaoTalk_20251107_074341933_01[edit].jpg](https://www.fishnet.co.kr/data/C050_16/202511/20251107075354_ioot.jpg)
![KakaoTalk_20251106_174455212_11[edit].jpg](https://www.fishnet.co.kr/data/C050_16/202511/20251107075402_hsgh.jpg)
![KakaoTalk_20251106_174455212_16[edit].jpg](https://www.fishnet.co.kr/data/C050_16/202511/20251107075404_msxw.jpg)
![KakaoTalk_20251106_174455212_05[edit].jpg](https://www.fishnet.co.kr/data/C050_16/202511/20251107075904_qwyy.jpg)




![KakaoTalk_20251106_174455212_02[edit].jpg](https://www.fishnet.co.kr/data/C050_16/202511/20251107075420_ouho.jpg)
![KakaoTalk_20251106_174455212_04[edit].jpg](https://www.fishnet.co.kr/data/C050_16/202511/20251107075422_ennm.jpg)
![KakaoTalk_20251106_174455212_18[edit].jpg](https://www.fishnet.co.kr/data/C050_16/202511/20251107075429_szpd.jpg)
![KakaoTalk_20251106_174455212_22[edit].jpg](https://www.fishnet.co.kr/data/C050_16/202511/20251107075433_ixfe.jpg)
![KakaoTalk_20251106_174455212_23[edit].jpg](https://www.fishnet.co.kr/data/C050_16/202511/20251107075436_pbxu.jpg)
![KakaoTalk_20251106_174524132_01[edit].jpg](https://www.fishnet.co.kr/data/C050_16/202511/20251107075452_opmp.jpg)
![KakaoTalk_20251106_174455212_25[edit].jpg](https://www.fishnet.co.kr/data/C050_16/202511/20251107075502_zduh.jpg)
![KakaoTalk_20251106_174524132_04[edit].jpg](https://www.fishnet.co.kr/data/C050_16/202511/20251107075505_ehlx.jpg)
![sizeKakaoTalk_20251106_174524132_07[edit].jpg](https://www.fishnet.co.kr/data/C050_16/202511/20251107075606_fkem.jpg)
![KakaoTalk_20251106_174524132_10[edit].jpg](https://www.fishnet.co.kr/data/C050_16/202511/20251107075622_rtze.jpg)
![KakaoTalk_20251106_174524132_14[edit].jpg](https://www.fishnet.co.kr/data/C050_16/202511/20251107075625_pcec.jpg)
![KakaoTalk_20251106_174524132_09[edit].jpg](https://www.fishnet.co.kr/data/C050_16/202511/20251107075632_ywtz.jpg)
![KakaoTalk_20251107_074157662[edit].jpg](https://www.fishnet.co.kr/data/C050_16/202511/20251107075639_twzo.jpg)
![KakaoTalk_20251107_074126290[edit].jpg](https://www.fishnet.co.kr/data/C050_16/202511/20251107075642_gmze.jpg)
![KakaoTalk_20251106_174455212_21[edit].jpg](https://www.fishnet.co.kr/data/C050_16/202511/20251107075710_hpku.jpg)
![KakaoTalk_20251106_174524132_13[edit].jpg](https://www.fishnet.co.kr/data/C050_16/202511/20251107075948_hnsu.jpg)
<낚시터정보>
● 위 치 : 충남 아산시 배방면 수철리 270-1 (네비게이션:산들낚시터)
● 전 화 : 010-9060-4121 / 041-532 -6980
● 교 통 : 대중교통
● 면 적 : 2만 5천 여 평
● 수 질 : 자연계곡수
● 어 종 : 떡붕어, 토종붕어, 향붕어, 잉어,향어,메기
● 수 심 : 1~4m
● 미 끼 : 떡밥,지렁이 ,생미끼
● 수상좌대이용요금
-
중형좌대(2인기준) : 주중 8만원 / 주말 10만원
대형좌대(3인기준) : 주중 11만원 / 주말 13만원
특대좌대(5인기준) : 주중 17만원 / 주말 20만원
연안(연륙)좌대(2인기준): 주중 8만원 / 주말 10만원
* 금, 토와 공휴일 전일은 주말요금이 적용됩니다.
* 1인 추가 이용시 : 25,000원 별도
● 노지 및 잔교 이용요금 : 25,000원(손맛, 잡이 구분 없음)
● 부대시설 : 매점, 화장실, 주차시설
● 영업시간 : 24시간



