
좌대 노지에서 사이즈 마릿수 좋은
가을밤이 시작 되고 있습니다.
여긴
토종붕어 전문낚시터
이천 성호낚시터 입니다.

석양이 내려 앉으면
환상적인 성호지 밤이 시작 됩니다.

금.토 양일간
좌대 노지 성호지 전지역을
빈틈없이 채워주신 전국의 대물 조사님들...


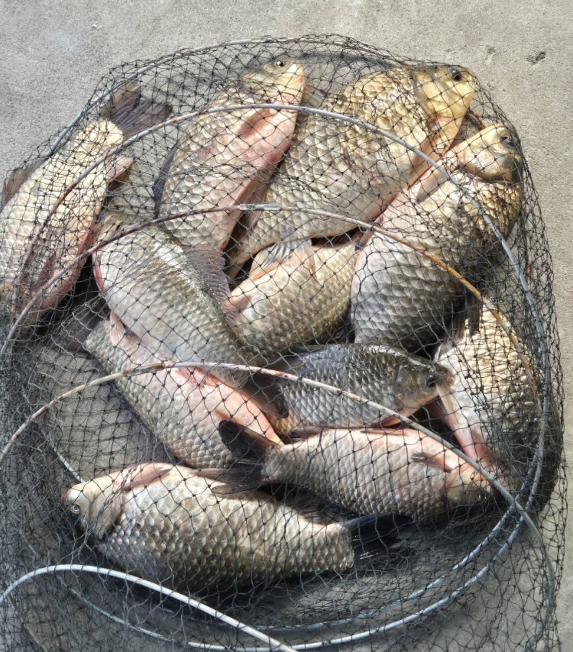
토종붕어들과 한판승부
가을밤이 깊어가고 있는 여긴 이천 성호낚시터 입니다.
노지 오늘 부터
개인출조 가능 합니다.

노지는 단체는 규정상 어망도 걸지 않고
대물사이즈 한마리 계측후 방생이라 조황체크가
되지 않습니다.
확인후 사진이나 영상으로
올려 드리겠습니다.

단골 조사님들 말씀으론
첫날 밤새 강력한 비바람에도 상당한 마릿수에
등수 사이즈도 좋았다고 하시고
어젯밤 둘째날은
시작가 동시 대물 4짜가 나왔다는
소식도 전해 주시네요.











이쯤에서
한국낚시방송 통신원
어신 김철규님 이천 성호낚시터 출조 소식을 들어 보시지요.
이천 성호낚시터
유튜브. 동영상 구독 좋아요 눌러 놓으시면
실시간 성호지
조황정보를 보실수 있으며
쇼츠영상 요약1분 동영상은 전체를 보실수 있습니다.


성호낚시터 전-좌대
가정식 단열재로 지어진 후끈 후끈한 방엔
온수보일러에 마루바닥재로 차원이 다른 방갈로좌대 이용은

좌대이용은 홈페이지 또는
전화 예약후 언제나 누구나 이용 가능합니다.
예약 출조문의 : 031 641 0616 / 010 3737 1527





노지 이시간 부터
누구나 편하게 이용 가능 하니 합니다.











