낚시점 조황

· 논란의 여지가 없는 정확한 조황을 올려주세요

비가옵니다...또다시 대물조과 기대 만땅입니다.

IP : dc4c2ff243b7564 날짜 : 조회 : 4587 본문+댓글추천 : 0

비가오는 와중에 열낚하신 조사님들 아래에서 허리급까지 손맛들 보셨읍니다. 오늘밤 이비가 그치고 뻘물 살짝 일어준다면

또다시 싸짜급 대물들 기대해 볼만합니다.[쓰레기는 반드시 되가져 갑시다.]

 

크기변환_014.JPG

                종포수로조과입니다.

                  신팀장님 우중에 고생 하셨읍니다. 

 

크기변환_017.JPG

 

 

크기변환_016.JPG

                    허리급 쌍월입니다.

                       츄카츄카. 

 

크기변환_015.JPG

 

 

크기변환_013.JPG

 

 

크기변환_018.JPG

               신팀장님포인트 

 

크기변환_019.JPG

                 월상본류권 월포함 마릿수 하셨읍니다. 

 

크기변환_021.JPG

               34cm급은 되네요. 

                유회장님 츄카츄카.

 

크기변환_020.JPG

 

 

크기변환_022.JPG

               유회장님포인트 

 

크기변환_023.JPG

                 우중 월상 전경입니다. 

 

크기변환_006.JPG

 

 

크기변환_005.JPG

                   똥통 부들포인트에서 나온넘 입니다. 

 

크기변환_004.JPG

                   마릿수도 나쁘지 않군요...

 

크기변환_003.JPG

                 조황중에 월이한수추가

                 환하게 웃는 모습이 보기 좋읍니다. 

 

크기변환_007.JPG

                  금천교조과입니다.

 

크기변환_008.JPG

                 금천교포인트 

 

크기변환_011.JPG

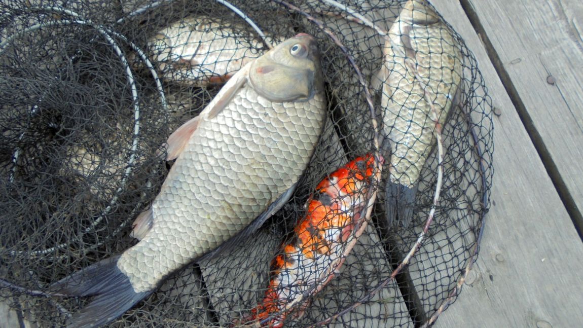
                   학교둠벙도 나와주고...

                   비단잉어도...? 

 

크기변환_010.JPG

 

 

크기변환_012.JPG

                  학교둠벙포인트 

 

kkk7 이박사낚시약도.jpg

 

 

크기변환_019.JPG

 

 

비가옵니다또다시 대물조과 기대 만땅입니다 (조황조행기 - 낚시점조황)

이박사낚시님의 최근 조황

조황 더보기