유료터점주조황

· 업주전용게시판으로서 업로드 횟수는 1일 1건으로 제한합니다
· 회원가입후 곧바로 조황을 올릴 수 있으나 별명은 반드시 유료터명의로 올리시기 바랍니다
· 유료터명의가 아니거나 썸네일이 없으면 삭제됩니다.

불꽃축제보다 더좋은 조황 이천 성호낚시터.

IP : 9368975dd038abb 날짜 : 조회 : 14318 본문+댓글추천 : 0

Screenshot_20250927_084441_Messages.jpg

 

 

먼저 연안좌대

대박마릿수 어망 부터 구경 하시고

 

이천 성호낚시터의 자랑인 

투인룸 2동 개방형 좌대 개방시 내부에서 20미터 왕래 가능

가족들 즐기는 모습도 보시고

 

그리고 보내주신 

월척이상 덩어리 마릿수사진

동영상 쇼츠영상에서 생동감 넘치는 

토종붕어 덩어리 생생한 현장을 보시기 바랍니다.

 

 

 

Screenshot_20250927_081954_Gallery.jpg

 

 

Screenshot_20250927_081954_Gallery(1).jpg

 

만수위 안정된 수위속

꾸준히 유입되는 샘물 여름내내 굶주린 덩어리들

본격적으로 먹이활동 중이네요.

축하합니다.

 

 

20250927_181045.jpg

 

여의도 불꽃축제 저리가라 

나는 더 좋은 이천 성호낚시터 최고급형 방갈로좌대

투인룸 2동 개방형으로 가족 모두 총 출동.

 

 

 

20250927_181039.jpg

 

저희 좌대를 

자주 이용하시는 부부조사님

1년에 한번은 형제자매 가족들과 놀다 가시네요.

 

 

20250927_181041.jpg

 

 

20250927_181032.jpg

 

 다음주 부터 

긴~추석연휴 여러분도 이천 성호낚시터 

최고급형 방갈로좌대 이용을 추천 드립니다.

 

 

 

20250927_181204.jpg

 

 

20250927_180744.jpg

 

이천 성호낚시터 

최고급형 방갈로좌대 이용은

홈페이지 또는 전화 예약후 언제나 누구나 이용 가능합니다.

 

홈페이지 예약하러 바로가기 클릭=https://sunghoji.com/ 

 

예약 출조문의 : 031 641 0616 / 010 3737 1527

        .

 

 

20250926_064822.jpg

 

4짜에 

허리급만 담아 주셨네요.

 

 

20250926_064829.jpg

 

 

20250928_070803.jpg

 

월척이상 덩어리로 많이 하셨네요.

축하합니다.

 

 

 

20250928_070757.jpg

 

 

Screenshot_20250926_140530_Messages.jpg

 

좌대에서 1박후 

월척이상 덩어리 좀 나온다고 하루더 2박을 하시고 

잡을때 마다 찍은 사진을 보내 주셨네요.

 

 

  

Resized_20250925_144416.jpeg

 

한장 한장 찍어 

보내주신 사진 모두 올려 드립니다.

축하합니다.

 

 

 

Resized_20250925_143010.jpeg

 

 

Resized_20250925_074540.jpeg

 

 

Resized_20250925_142851.jpeg

 

 

Resized_20250925_142915.jpeg

 

 

Resized_20250925_212414.jpeg

 

 

Resized_20250925_212602.jpeg

 

 

Resized_20250925_212548.jpeg

 

 

Resized_20250925_162030.jpeg

 

 

 

20250928_070644.jpg

 

밤새 덩어리 많이 담으셨네요.

축하합니다.

 

 

20250928_070641.jpg

 

 

  

20250928_070640.jpg

 

 

20250928_070931.jpg

 

노지 아침 빗속에 

이천 성호낚시터 조황정보를 위해 함께 해주신 조사님 

감사합니다.

 

 

 

20250928_070856.jpg

 

저기압 빗속에 많이 하셨다고 어망을 건네 주시고

모델까지 감사합니다.

 

 

20250928_070932.jpg

 

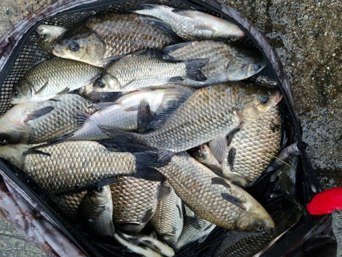
30여수중 

월척이상 덩어리만 10여수 이상 입니다.

축하합니다.

 

 

 

20250928_070936.jpg

 

 

20250928_070705.jpg

 

 

20250928_070708.jpg

 

 

 

좌대 비어 났으니까 딴데 가지마

우리 목적지는 이천 성호낚시터

 

 

 

20250927_180738.jpg

 

 

20250927_181208.jpg

 

 

20250920_174912.jpg

 

 

20250920_165601.jpg

 

 

20250927_065105.jpg

 

 

20250920_165807.jpg

 

 

20250926_065434.jpg

 

 

20250927_065949.jpg

 

 

20250927_070040.jpg

 

 

20250920_165549.jpg

 

불꽃축제보다 더좋은 조황 이천 성호낚시터 (유료터정보 - 유료터점주조황)


 

성호낚시터님의 최근 조황

조황 더보기